一品楼ypl论坛,一品凤楼论坛的官网入口,辽宁楼凤论坛qm,一品楼免费论坛

充气柜概述,充气柜的直流电源改造

发布时间:2022-05-10 10:45:03

1.充气柜概述

1.1充气柜整体结构

GZX-40.5kV柜式气体绝缘金属封锁开关设备(简称充气柜)SF6气体绝缘金属外壳固定式开关柜,是三相交流母线分段的户内成套设备,其结构如图1所示。

 

1所示充气柜

首要由断路器室、二次室、CT室及柜后电缆室组成,上述几部分一同协作完成对供电系统和负荷的控制、何护及检测。

1.2直流电源在开关柜中的作用

充气柜采用的SET系列直流-直流转化开关电源由深圳斯特克电子技术开发有限公司开发,适用于寻呼机功放、电力系统、集群系统、移动通讯基站等通讯系统领域。电力系统中,该电源??槭滓糜诳毓衲诙涡藕呕芈芳?/span>PLC控制器电能供应,完成后台机和维护设备对开关柜情况的实时监控及控制。

2.存在问题及缘由剖析

2.1存在问题

桂林网区某110kV变电站现有的充气柜缺点频发,依据作业值班人员提供的数据,该类型充气柜2012~2013期间产生缺点次数及实践缺点部位(表所示)。

由表1可知,该类型充气柜在同一110kV变电站一年时间同一缺点产生率高达82.3%,已严格影响到供电稳定性。

2.2缘由剖析

 

2.2.1开关电源??樯⑷裙婊缓侠?/span>:直流转化器的过热维护值为80℃。当温度抵达70℃时,设备缺点报警灯亮,过热维护不动作;当温度抵达80℃时,设备缺点报警灯持续亮,过热维护动作,堵截电源,设备作业指示灯灭。经查询剖析,该电源??槟诓吭骷婊纸舸?,引起散热不良,构成其一再退出作业。

2.2.2作业环境影响:110kV变电站地处工业中心,其四周粉尘污染严格,在这种作业环境下,开关电源因为静电吸附缘由极易构成内部粉尘堆积,然后引起开关电源IGBT等开关元件散热功用降落,触发电源??槿任し⒍R虼?,杰出的防尘方法对前进开关电源散热功用有较好的作用。

3.改善方法

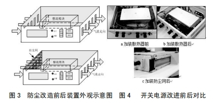
3.1在设备功率元件一侧加装散热片,并于散热片上面装设常规风扇,然后扩展散热面积,加强空气流通,起到散热降温作用,如图3所示改善前后标明图。

3.2在设备本体进风孔加防尘网,避免尘土进入设备内部,设备维护人员定时对滤网间断清扫,然后减轻元器件外表覆尘,利于设备正常散热,如图3所示加装防尘网后开关电源标明图。对设备施行上述改善后,其改善前后对比如图4所示。

4.施行成果

改善后,为考证改善作用,对开关电源分别在0.5倍、0.8倍及1.0倍负载下间断了为期5天的带负荷实验,图5为不同负载下开关电源的温度曲线,由图5可知,跟着负荷的增大,开关电源问题整体呈上升趋向;负载不变的情况下,同一温度曲线根柢坚持滑润;开关电源在额定负载下作业,最高温度不超越57℃,未达报警值,开关电源稳定性得到明显前进。

5.结论

5.1散热不良是引起开关电源缺点频发的首要缘由。

5.2加装散热片及防尘网有用的加强了开关电源的散热功用,开关电源的整体功用得到了优化。

 

5.3为进一步进步开关电源的功用,倡议相关人员定时对新装防尘网间断清算,以增强开关电源的空气流通。

5.4本文提出的散热及防尘改善方法对其它应用也有一定自创含义。